낚시광장

사이드메뉴
이전으로
찾기
[현장기] 고흥 손죽도 감성돔 시즌 변화 물색 맑아지며 영등철까지 고!
2026년 02월
공유
[현장기]

고흥 손죽도 감성돔 시즌 변화

물색 맑아지며 영등철까지 고!

김진현 기자




지난 12월 18일 취재팀이 하선한 고흥 손죽도 밭너매 포인트. 남쪽으로 조금 떨어진 자리에 유명한 넙덕바위가 있다.


취재 당일 감성돔 최대어를 낚은 김명철 씨.



고흥 손죽도는 고흥 반도와 여수 거문도 사이에 있는 여러개 섬 중 하나다. 원도도 내만도 아닌 흔히 ‘중도권’ 섬으로 부르는데 예전부터 부산 낚시인들에게는 여름, 가을 감성돔 포인트로 이름을 날렸다.

5~6월에 내만권에서 감성돔이 빠질 시기가 되면 고흥 손죽도, 소거문도에서 감성돔이 비쳤다. 그러다 태풍이 오기 전 장마철인 6~7월에 40cm급으로 호황을 보였다. 초가을에는 자잘한 씨알이 낚였고 10~11월에 다시 40cm급이 낚이다 12월에 뻘물이 들면 시즌을 마감했다.

그런데 2010년을 즈음해 손죽도, 소거문도의 여름 물색이 맑아졌다는 소식이 들리더니 돌돔, 참돔터로 변모하는 모습을 보여주었다. 고흥권에서는 예전에도 돌돔과 참돔이 여름에 잘 낚였으나 5짜급 돌돔이 마릿수로 낚인 것은 이례적이었으며 앞으로의 변화를 예고했다. 돌돔이 낚인 이후에는 여름 감성돔이 뜸해졌고 최근 추세를 살펴보면 10월 이후 본격적인 감성돔 조과가 시작되어 1월 전후에도 굵은 감성돔이 낚이는 것을 확인할 수 있다. 고흥 현지에서는 영등철에도 감성돔 출조가 가능하다고 하며 기사 제목 그대로 손죽도가 가을 감성돔터에서 겨울 감성돔터로 거듭나고 있는 것이다.



정용선(HDF 필드스탭) 프로가 참갯지렁이 미끼로 낚은 30cm 감성돔을 보여주고 있다.


넙덕바위에 내린 낚시인들. 오전에 감성돔을 낚은 것을 확인했다.


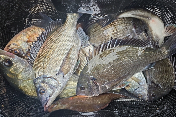
12월 중순 손죽도에서 낚이는 감성돔의 씨알. 30cm급이 많고 40cm면 큰 편이다.



탁한 물색 감안 수심 6m 얕은 곳에 하선

지난 12월 18일 바다낚시 동호회 해우회 회원 18명과 겨울 감성돔 취재를 위해 고흥 손죽도로 출조했다. 오전 5시에 외나로도항에서 청호레저에 승선, 50분 정도 달리니 손죽도에 도착했다. 취재 전날 해우회 박기성 회원은 손죽도 북동쪽 밭너매 자리에 내려 30cm급 감성돔 4마리를 낚았는데, 운 좋게도 취재팀이 그 자리에 내릴 수 있었다. 밭너매 자리에는 목포에서 온 정용선 프로, 해우회 김태환 회장, 조창현 사무국장, 박종성 회원이 함께 내렸다. 포인트가 널찍해 2명씩 나눠 포인트에 자리를 잡았다.

그런데 한 가지 궁금한 점이 있었다. 손죽도 남쪽에는 손잡고도는데, 노랑바위, 낭끝과 같은 수심 10m 내외의 감성돔 명당이 많은데 해우회 회원들이 내린 곳은 대부분 수심 6m 내외로 비교적 얕다는 것이다. 손죽도 마을 인근에 내린 회원들은 간조 기준 수심 3m인 곳도 있었다. 김태환 회장에게 그 이유를 물으니 “손죽도 일원은 물색이 탁해서 경계심을 푼 감성돔이 얕은 곳으로 잘 붙습니다. 겨울이라고 무작정 깊은 포인트로 가는 것은 추천하지 않으며 물색에 따라 선장님의 의견을 듣고 포인트를 선정합니다. 오늘은 물색이 탁한 편이라 모든 회원들이 손죽도 북쪽과 소거문도 일대의 얕은 곳에 내렸습니다”라고 말했다.

동이 트기 전에 라면과 즉석밥으로 아침을 먹었고, 동이 트기 직전부터 1호 전자찌로 채비해 발앞부터 공략했다. 가장 먼저 올라온 것은 망상어. 그 뒤로 학꽁치, 볼락, 쥐노래미도 올라왔지만 감성돔은 쉽사리 모습을 보여주지 않았다.






12월 중순 이후 손죽도, 소거문도, 평도, 모기여 일대의 감성돔 조과. 

호레저 밴드에 업로드된 사진들도 12월 말까지도 40cm급 감성돔이 주종인 것을 확인할 수 있다.


조창현 사무국장이 감성돔을 올리고 있다.



12월 중순임에도 30cm 감성돔이 주종

오전에는 들물이 흘렀고 생각보다 수위가 빨리 높아졌다. 거의 3m 정도 뒤로 물러나 낚시해야 할 정도로 수심 차이가 컸다. 감성돔의 입질은 만조 때 들어왔다. 참갯지렁이 미끼로 발앞 수중턱을 공략한 정용선 씨가 먼저 입질을 받았는데 올려보니 30cm급이었다. 연이어 조창현 씨도 입질을 받았는데 30cm에 못 미치는 작은 감성돔이 낚였다. 취재 전날 이 자리에서 감성돔 4마리를 낚은 박기성 회원은 출조 전 우리에게 “감성돔 씨알이 영 못마땅하다”고 말했었는데 그 이유를 알 것 같았다.

만조가 지나 썰물이 흐르자 어디서 왔는지 학꽁치 군단이 나타났다. 그때 맞춰 손죽도 주민으로 보이는 사람들이 여러 명 갯바위에 내려 학꽁치낚시를 시작했다. 밑밥을 뿌리지 않아도 매직펜 씨알의 굵은 학꽁치가 잘 낚였다. 가끔 학꽁치를 노린 대형 농어(부시리 가능성도 있음)가 들어와 한바탕 소동이 벌어지기도 했는데, 취재 당일에는 포인트를 잘못 잡았다는 느낌이 들었다.

정오가 되어 철수를 시작했다. 많은 회원들이 빈손으로 낚싯배에 올랐지만 삼부도 마을 옆 갯바위에 내린 김명철 씨와 손죽도 북쪽 철탑 아래에 내린 최진석 씨는 30~40cm 감성돔을 낚아 철수했다. 두 포인트는 모두 수심 5m 내외의 얕은 자리였다.


평도, 모기여 일대로 포인트 확산 중

취재 당일에는 감성돔 조과가 만족스럽지 못했다. 씨알, 마릿수 모두 좋지 않았는데 12월 말에 들면서 상황이 바뀌었다. 손죽도, 소거문도 전역에서 40cm 감성돔이 낚였고 5~6마리가 한 자리에서 낚이기도 했다. 예년 같으면 10~11월에 터져야할 조과가 12월 말에서야 터진 것이다. 더불어 손죽도에서 좀 더 남쪽에 있는 평도, 모기여 조과도 살아나고 있다.

청호레저 서성원 선장은 “손죽도, 소거문도 일원으로 나가고 있지만 최근 기상이 좋지 않아 출조 일수가 적습니다. 기상이 좋은 날엔 손죽도 일원으로 나가며 뻘물이 지면 평도, 모기여 일원으로 출조해 감성돔을 낚고 있습니다. 40cm급 감성돔을 위주로 여전히 자잘한 씨알이 섞여 낚이지만 마릿수 조과가 꾸준합니다. 1월 중순까지는 손죽도를 경유해 평도, 모기여로 출조할 예정입니다”라고 말했다.


출조문의 고흥 청호레저 010-9434-6220



30cm에 못 미치는 씨알이 올라왔다.


계측을 마친 감성돔. 최대어는 41cm.


2025년 마지막 정기출조를 마친 해우회 회원들이 시상대를 준비했다.


취재당일 감성돔을 낚아 입상한 회원들. 좌측부터 2위 최진석, 1위 김명철, 3위 박종성 회원.


손죽도 출조를 마친 해우회 회원들의 기념 촬영.



※ 낚시광장의 낚시춘추 및 Angler 저작물에 대한 저작권 침해(무단 복제, 전송, 배포 등) 시 법적 책임을 질 수 있습니다.

애독자 Quiz

매월 30가지 특별한 상품이 팡팡~~

낚시춘추 애독자Quiz에 지금 참여하세요!!